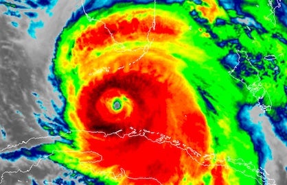
| Above: Infrared GOES-16 satellite image of Hurricane Irma as of 2:31 am EDT Sunday, September 10, 2017. GOES data are preliminary and non-operational. Image credit: RAMMB / CIRA@CSU. |
After more than eight days of moving steadily through the tropical Atlantic with winds topping 100 mph, Hurricane Irma slowed down late Saturday night and began its long-predicted, long-feared turn toward Florida. Early Sunday morning, Irma was approaching the Lower Florida Keys as an intensifying Category 4 storm with top sustained winds of 130 mph. Irma was finalizing an eyewall replacement cycle, with the previous concentric eyewalls from earlier Saturday now replaced by a single eyewall about 23 miles in diameter. With this cycle complete, further strengthening appeared likely for at least a few more hours, as Irma was traversing sea surface temperatures of 30° (86°F). Southwesterly winds at upper levels were helping to ventilate the storm. As Irma continues northwest, this increasing shear will begin to impede the intensification process and, together with land interaction, will eventually lead to weakening. Irma may reach the southwest coast of Florida on Sunday afternoon while still at Category 4 strength. Regardless of its peak winds at landfall, Irma poses an extremely serious storm-surge threat to the highly populated, surge-vulnerable stretch of coastline from Fort Myers to Tampa.
Irma spent nearly a full day from late Friday into Saturday scraping the north coast of Cuba and the barrier islands of the Cuban Keys. Initial reports showed widespread damage to coastal villages and resorts from Irma, which made landfall as Cuba’s first Category 5 storm in almost a century.
At 3:00 am EDT, Irma was located about 65 miles southeast of Key West, drifting northwest at 6 mph. Rainbands and squalls ahead of Irma’s core were lashing the Lower Keys early Sunday morning. Key West was experiencing a storm surge of about 1.5 feet, with winds at the airport gusting to 62 mph at 1:53 am EDT Sunday. Irma is likely to deliver a punishing storm surge and fierce winds to Key West and/or Big Pine Key on Sunday morning, with the eyewall heading for one or both islands. The predicted surge of 5 - 10 feet could arrive in two phases, affecting opposite sides of the islands, as winds shift during the passage of the hurricane.
230a: #Irma continues to slowly move W/NW towards the lower Keys. PLEASE, if you're still in the Keys STAY INSIDE & HUNKER DOWN. #FLkeys pic.twitter.com/7Ja1ZyfxzA
— NWS Key West (@NWSKeyWest) September 10, 2017
Irma on track to hug Florida’s West Coast from south to north
The odds were increasing on Saturday night that Irma’s trek up the Florida peninsula would be focused along the state’s west coast. The NOAA/NWS National Hurricane Center again nudged its forecast track slightly westward at 11 pm EDT Saturday, bringing the center of the “cone of uncertainty” across the Tampa-St. Petersburg area for the first time. Guidance from the 12Z Saturday ensemble run of the European model, and from short-range models on Saturday night, suggested that Irma may stay near the west coast along the entire peninsula, perhaps remaining partly or even mostly offshore. Such a track would enhance the risk of damaging hurricane-force winds along the entire west coast, including the Tampa-St. Petersburg area. Winds to at least tropical storm strength (sustained at 39 mph)—perhaps lasting a few hours—are likely on Irma’s right-hand side across the entire Florida peninsula, as well as the eastern Panhandle and southern Georgia. These winds can easily bring down trees and power lines. Power outages from Irma may affect millions of people and take a number of days to repair.
![]() |
Figure 1. The chance of experiencing tropical-storm-force winds (39 mph sustained) is 70% or more for virtually the entire Florida peninsula during the passage of Hurricane Irma. Image credit: NHC. |
The westward-trending track also raises concerns for the eastern Florida Panhandle, where a direct hurricane landfall would be possible if Irma stayed just off the state’s northwest coast. Hurricane Warnings extended late Saturday for the entire Florida coast from Indian Pass (including the Tallahassee area) around the peninsula to the Georgia border. Leon County, which sits just inland from the coast and includes Tallahassee, ordered a voluntary evacuation on Saturday afternoon and planned to open shelters on Sunday, joining many other shelters throughout the state.
Irma’s first approach to the Florida coast will likely be somewhere from Fort Myers to Naples on Sunday afternoon. This is where the highest winds (most likely Cat 2 or 3, perhaps even stronger at some locations) and the greatest storm surge threat is expected. If Irma’s surge arrives at high tide, coastal areas may see inundations of 10 to 15 feet above ground level—a potentially devastating amount of water. Significant surge may affect other parts of the peninsula, as well as Georgia and even southern South Carolina, given Irma’s very broad circulation.
Please consult the NHC website and the WU tracking page for the latest updates on Irma in between our posts here. NHC offers a handy set of links to local NWS offices and their information on local threats and impacts.
Tornado risk across much of Florida on Sunday
Along with Irma’s myriad other threats, an outbreak of tornadoes is quite possible on Sunday. Irma’s unusual trajectory will help lead to enhanced wind shear in the forward right flank of the storm, a common locale for tornadoes in onshore hurricane rainbands. The early-morning outlook from the NOAA/NWS Storm Prediction Center put east-central Florida in an enhanced risk of severe weather and much of the peninsula in a slight risk, mainly for the tornado threat.
Tampa’s hurricane history: only two major hurricanes since 1848
Tampa Bay doesn't get hit very often by hurricanes. This is because the city faces the ocean to the west, and the prevailing east-to-west trade winds at that latitude make it uncommon for a storm to make a direct hit on the west coast of Florida from the ocean. This is fortunate, since the large expanse of shallow continental shelf waters offshore from Tampa Bay (less than 300 feet deep out to 90 miles offshore) is conducive for allowing large storm surges to build. Tampa Bay is most vulnerable to large storm surges from storms approaching from the southwest or west and passing just north of the city, since the westerly winds in the hurricane's eyewall will force a massive storm surge directly into the bay. Tampa Bay is much less vulnerable to large storm surges from a storm approaching from the south, like Irma, since the hurricane's winds will be blowing offshore until the eye of the storm passes to the north. At that time, the winds will reverse and bring a storm surge into Tampa Bay.
The last time Tampa suffered a direct hit by any hurricane was 1946, when a Category 1 storm came up through the bay. The Tampa Bay Hurricane of October 25, 1921 was a the last major hurricane to make landfall in the Tampa Bay Region. This low-end Category 3 storm with 115 mph winds at landfall brought a storm tide of 10 - 11.5 feet (3 - 3.5 meters), causing severe damage ($10 million in 1921 dollars.) The only other major hurricane to hit the city occurred on September 25, 1848, when the Great Gale of 1848, the most violent hurricane in Tampa's history, roared ashore as a Category 3 or 4 hurricane with 115 - 135 mph winds. A 15-foot storm surge (4.6 meters) was observed in what is now downtown Tampa, and the peninsula where St. Petersburg lies, in Pinellas County, was inundated, making St. Petersburg an island. A large portion of what few human structures were then in the area were destroyed.
See our post from Saturday afternoon for more on Tampa’s vulnerability to hurricanes.
![]() |
| Figure 2. Infrared GOES-16 image of Hurricane Jose as of 1:30 am EDT Sunday, September 10, 2017. Image credit: NASA/MSFC Earth Science Branch. |
Hurricane Jose slowly losing steam
After threatening the hard-hit northern Leeward Islands at Category 4 strength, Hurricane Jose stayed just northeast of the islands and began weakening on Saturday night. As of 11 pm EDT Saturday, Jose was located about 110 miles north of the Leewards, moving northwest at 14 mph with top sustained winds at minimal Cat 4 strength (130 mph).
The short-term forecast is straightforward—Jose will gradually weaken as it heads northwest—but then things get complicated. Jose is predicted to carry out a clockwise loop in the open Atlantic as steering currents slacken. The NHC forecast issued late Saturday night has Jose completing this loop by Thursday and heading southwestward toward the Bahamas as a Category 2 storm. Long-range models suggest that Jose will move toward an atmospheric weakness in the eastern U.S. that will be left behind after Irma dissipates inland. It’s too soon to know what other features will be in play to help shape Jose’s course over the 6- to 10-day period, but we may be tracking this hurricane for some time to come.
Dr. Jeff Masters contributed to this post.
#Irma is here, but the night shift has got it covered, forecast updates, watching radar, tracking reports, media interviews & communications pic.twitter.com/tjTsLr5Wms
— NWS Key West (@NWSKeyWest) September 10, 2017




